Post Royal Development – Coming Soon
Description
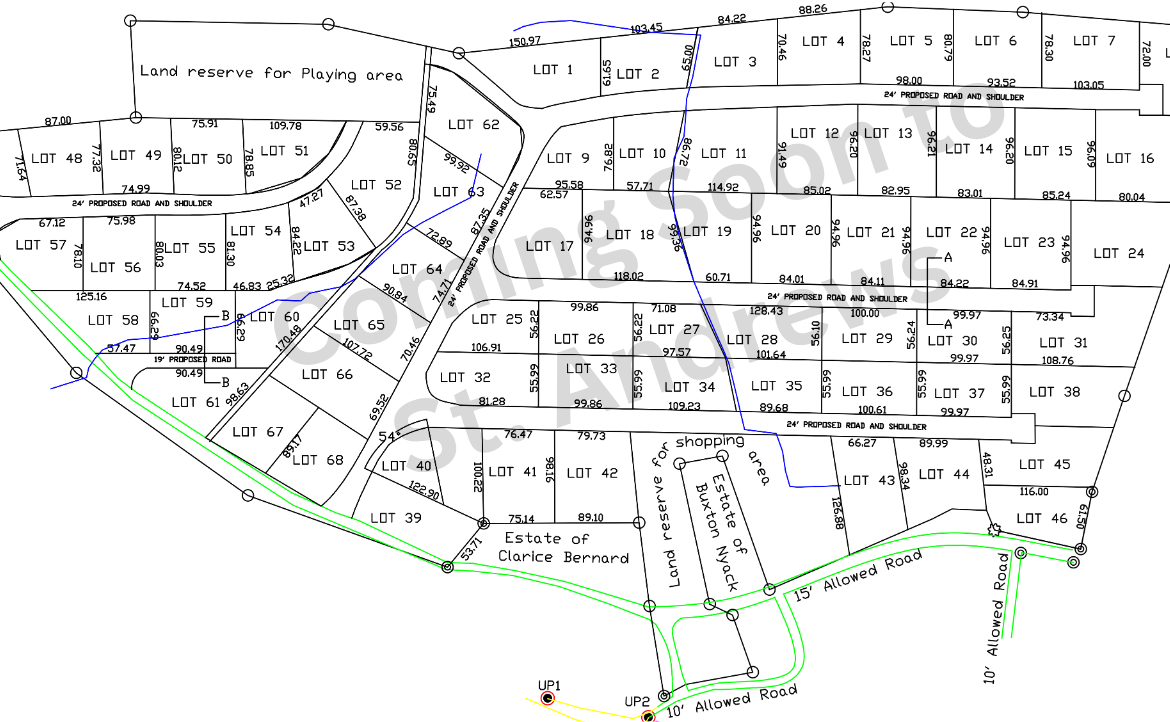
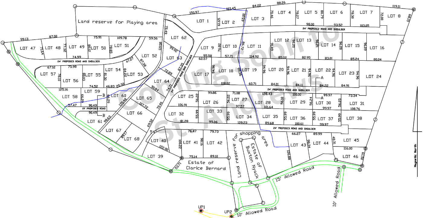
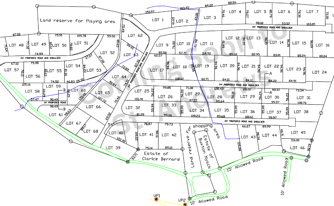
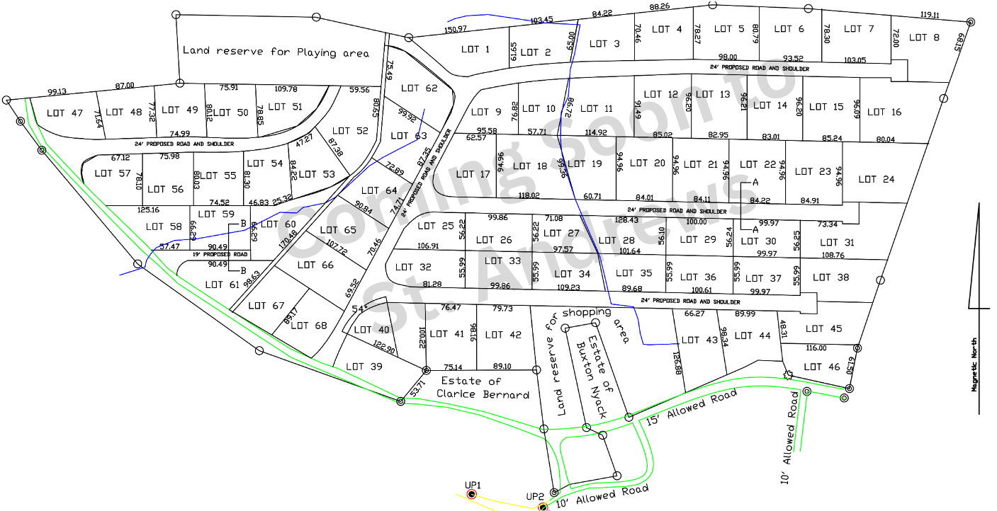
Coming soon to St. Andrew is over 60 lots ranging from 6,000 – 8,000 with road and all amenities. Some lots offers ocean view and a spectacular view of the town of Grenville. The lots are tailored to meets the needs of a growing number of property seekers with a land budget of under $100,000. The project is entering its final stage with the construction of the roads, installation of electricity and water and the actual division of the various lots. Recent issues with the heavy duty machinery along with heavy rains have delayed the completion of cutting the roads.
Details
Updated on January 15, 2026 at 9:28 pm-
Property Type Land, Residential
-
Property Status For Sale
Address
-
City: St.Andrew
-
Country: Grenada
